Si deseas comprar, vender, rentar o invertir en algun inmueble

este es el lugar ideal.

Llama con gusto te atenderemos.


Tel (442) 6012003

TERRENO COMERCIAL EN VENTA, PARAISO, TABASCO.

La Ceiba, Paraíso, Tabasco

  • $31,263,312 MXN En Venta
Ver Tour Virtual

Detalles

  • Tipo: Terreno
  • ID: EB-VT8423
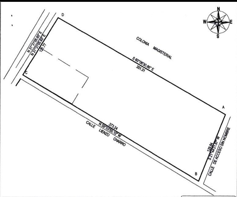
  • Fondo del terreno: 108.72 m
  • Frente del terreno: 60 m

Descripción

Ubicado en el Boulevard., Manuel Antonio Romero, en Paraiso, Tabasco, a 500 metros de los centros comerciales, Chedraui y Soriana.

Está en la esquina de la calle magisterial, y el boulevard principal, colonia la Ceiba.

Medidas 60 metros de frente y 108 metros de fondo aproximadamente.

Ideal para centro comercial, gasolinera, plaza comercial, hotel.

Si requiere más superficie se puede amoliar a 4.5 hectáreas, PREVIA OFERTA.

Acceso a agua, luz, drenaje, fibra óptica.
Real Estate Mexico City

Real Estate Mexico City

EB-VT8423
Imprimir propiedad

Ubicación

La Ceiba, Paraíso, Tabasco

Propiedades destacadas